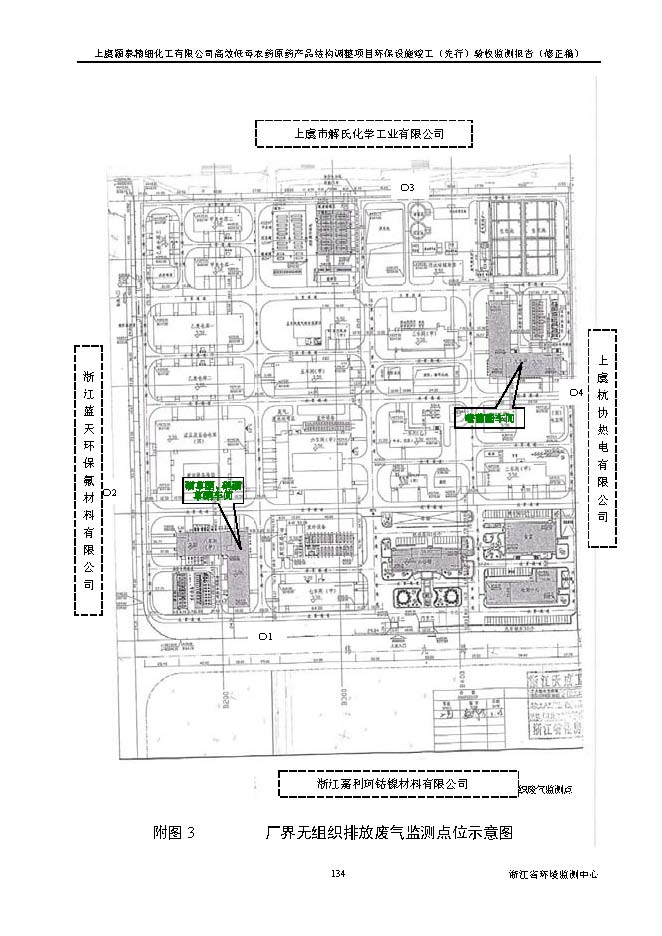
上虞iM电竞精细化工有限公司高效低毒农药原药产品结构调整项目环境保护设施竣工(先行)验收公示
- 分类:党建动态
- 作者:
- 来源:
- 发布时间:2016-01-15
- 访问量:0
【概要描述】上虞iM电竞精细化工有限公司高效低毒农药原药产品结构调整项目环境保护设施竣工(先行)验收公示
上虞iM电竞精细化工有限公司高效低毒农药原药产品结构调整项目环境保护设施竣工(先行)验收公示
【概要描述】上虞iM电竞精细化工有限公司高效低毒农药原药产品结构调整项目环境保护设施竣工(先行)验收公示
- 分类:党建动态
- 作者:
- 来源:
- 发布时间:2016-01-15
- 访问量:0
详情




















































































































































扫二维码用手机看
下一个:
无
下一个:
无
上一个 :
盐城南方化工有限公司第二轮清洁生产信息公示
下一个 :
无
上一个 :
盐城南方化工有限公司第二轮清洁生产信息公示
下一个 :
无
推荐新闻
2025-05-26
杭州iM电竞公司年产5000吨丙草胺原药技改项目环保设施竣工公告
2025-05-26
上虞iM电竞精细化工有限公司非重大变动论证说明(虱螨脲、二氯噁嗪酮)
2025-04-16
杭州iM电竞iM电竞有限公司在产企业自行监测报告2024年
2025-01-02
友情链接:
所属分类概要描述:
所属分类概要描述:
所属分类概要描述:
所属分类概要描述:
所属分类概要描述:
所属分类概要描述:
所属分类概要描述:
所属分类概要描述:
Copyright © 2022 北京iM电竞嘉和iM电竞股份有限公司
010-82819999
电子邮件
京公网安备 11011402013347号